Hurricane season 2020: Above-average activity *updated*
We can expect the 2020 Atlantic hurricane season to be more active than usual. Possibly similar to 2010, 2011, and 2017 seasons. High Atlantic Ocean …
We can expect the 2020 Atlantic hurricane season to be more active than usual. Possibly similar to 2010, 2011, and 2017 seasons. High Atlantic Ocean …
We have a new record in the tropics. It’s late April but Eastern Pacific already got its first system today – Tropical Depression One-E is …
Tropical Cyclone #Harold is re-organizing again after going through EWRC (eyewall replacement cycle) since its collapse in the wake of Vanuatu. The latest analysis at …
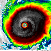
Here is a recap post of the extremely powerful Category 5 Tropical Cyclone #Harold over Vanuatu. The system has peaked at 165 mph (145 knots) …
What looked like the peak of #Harold last night (local morning), the system has introduced an explosive burst of convection through the past several hours …
Tropical Cyclone #Harold has done an unprecedented intensification into a powerful monster tropical system. It is packing 120 knots (140 mph / 225 km/h) maximum …
Here is an update of the rapidly intensifying Tropical Cyclone #Harold. It has moved away from the Salomon Islands and is now organizing further while …
Another impressive tropical system is currently ongoing – a Tropical Cyclone #Irondro in the South Indian Ocean. A rapidly strengthening system is packing maximum sustained …