Skip to Content

Severe Tropical Cyclone #Damien makes a devastating landfall over Dampier / Karratha in Western Australia

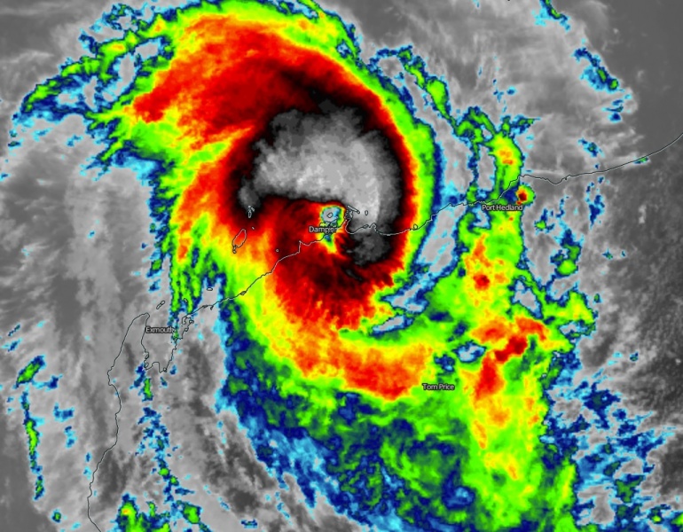
Likely a devastating landfall of Severe Tropical Cyclone #Damien has occurred in the last hours, potentially as a Category 4 system. Although the official 00 UTC update held it at 95 knots, Dvorak estimates were solid at 105-110 knots during the last 3 hours prior to landfall near Dampier and Karratha, Western Australia. Damien is delivering violent and destructive winds with gusts above 200 km/h, torrential rains with flooding and major storm surge on the coast. It will now weaken while drifting inland into Western Australia.

Karratha airport reported 957.5 mbar pressure in the eye of the cyclone, while the winds within the eyewall were reported at 80 knots, gusting to 100 knots!

First reports:

https://twitter.com/Frolencewalters/status/1226061600735416320

IR and VIS scans:






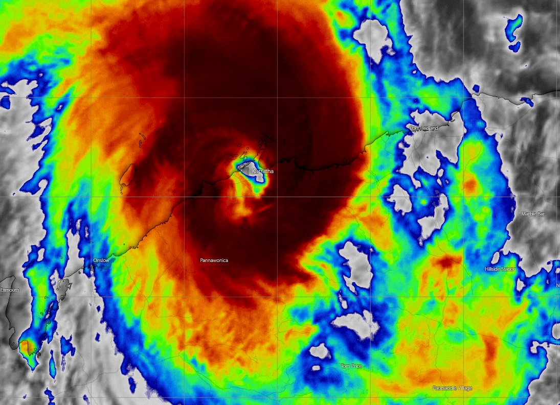
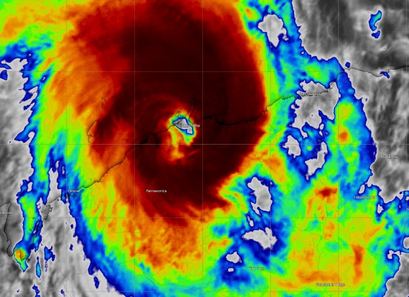
High-res radar imagery during landfall:



Advanced Dvorak Technique (ADT) estimated Damien has near 110 kt maximum sustained winds and pressure around 946 mbar. Dvorak raw T number of 5.9! 70-85 miles wind radii of 50-knot winds is expanding around center, and 30-50 miles with radii of hurricane-force 64-knot winds!


Tropical Cyclone Damien will not gradually weaken while moving further inland across Western Australia.

See the previous discussions:

*TROPICAL UPDATE* Final hours before #DAMIEN’s landfall near Karratha in Western Australia – rapid intensification is underway!


Tropical Cyclone #DAMIEN becomes a Category 3 cyclone – will intensify into a Category 4 prior to landfall in Western Australia – expected in less than 24 hours


Former Invest #92S has been upgraded to a Category 1 tropical cyclone #Damien – heading towards a potentially destructive landfall in NW Australia on Saturday