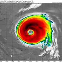
UPDATE: Hurricane Dorian grinds over the northern Bahamas, tracks towards Florida
Category 5 Hurricane Dorian is tracking across the northern Bahamas.It has weakened very slightly over the past several hours, but remains an extremely powerful hurricane. …


