First significant snowfall of the season for the Alps coming this weekend, Sept 6-8th
Snow lovers rejoice! Here comes the first significant snowfall of the season for the Alps. Expect up to 90 cm at the highest elevations of …
Snow lovers rejoice! Here comes the first significant snowfall of the season for the Alps. Expect up to 90 cm at the highest elevations of …
Autumn months are usually pretty active with deep troughs and cyclones across the North Atlantic. Currently, there are two tropical systems in the Atlantic (hurricane …
Hurricane Dorian continues tracking north/northeast and is approaching the coast of South Carolina this morning, Sept 5th. It has re-strengthened back to Category 3 and …
Hurricane Dorian continues tracking north, just east of Florida peninsula while its convective rain bands are resulting in tropical storm force winds along portions of …
Hurricane Dorian maintains its CAT 3 strength with sustained winds 120 mph (= 195 km/h) and central pressure around 950 mbar. Surprisedly enough, Dorians’ past …
Explanations for abbreviations (TSTM, SLGT, ENH, etc.) SYNOPSIS Strong upper ridge persists over the N Atlantic and W Europe while a short-wave crosses central Europe …
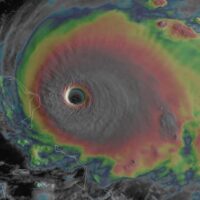
The exceptionally powerful hurricane Dorian continues deepening as seen by the latest NOAA Hurricane Hunters data and satellite imagery. Very impressive data has been collected …
More or less as expected, hurricane Dorian has continued intensifying overnight and has reached Category 5 strength. Destructive 175 mph (= 280 km/h) winds with …