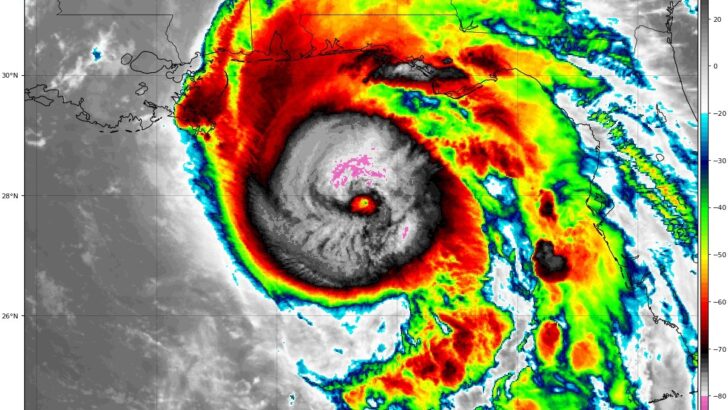
Major hurricane Michael now a Category 4, heading towards landfall near Panama City, Florida this afternoon, Oct 10th

Hurricane Michael has gone through rapid intensification overnight and is now a major Category 4 hurricane. Data from the NOAA Hurricane Hunters aircraft indicate the … Continue reading Major hurricane Michael now a Category 4, heading towards landfall near Panama City, Florida this afternoon, Oct 10th