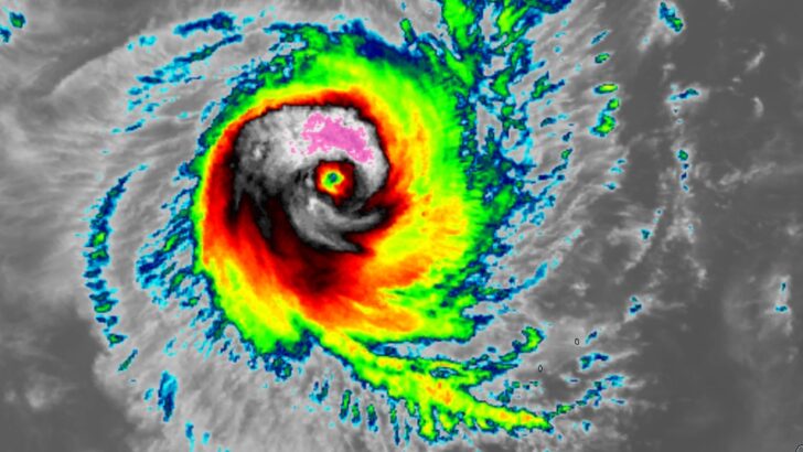
The explosive development of a Severe Tropical Cyclone #Ferdinand northwest of Australia – 85 knots sustained winds (Category 3)

An explosive development and rapid intensification of Tropical Cyclone #Ferdinand is underway! The systems likely contributed from the very favorable sea waters of more than … Continue reading The explosive development of a Severe Tropical Cyclone #Ferdinand northwest of Australia – 85 knots sustained winds (Category 3)