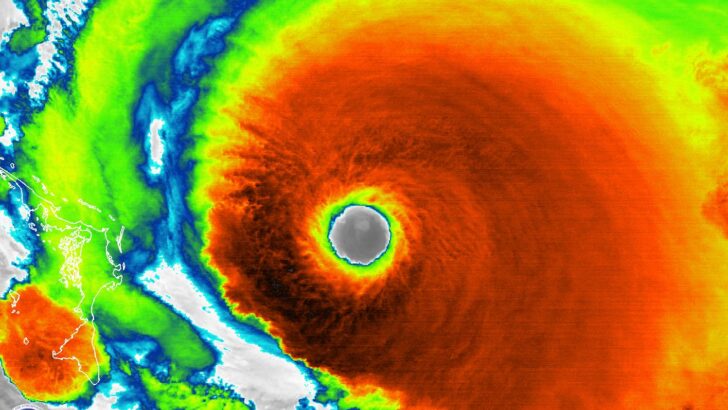
Dorian is now a CAT 5 hurricane – extreme destruction across parts of Bahamas is likely
More or less as expected, hurricane Dorian has continued intensifying overnight and has reached Category 5 strength. Destructive 175 mph (= 280 km/h) winds with … Continue reading Dorian is now a CAT 5 hurricane – extreme destruction across parts of Bahamas is likely
Copy and paste this URL into your WordPress site to embed
Copy and paste this code into your site to embed