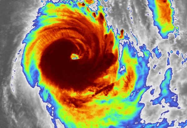
A rapidly strengthening Tropical Cyclone #IRONDRO in the South Indian Ocean
Another impressive tropical system is currently ongoing – a Tropical Cyclone #Irondro in the South Indian Ocean. A rapidly strengthening system is packing maximum sustained … Continue reading A rapidly strengthening Tropical Cyclone #IRONDRO in the South Indian Ocean
Copy and paste this URL into your WordPress site to embed
Copy and paste this code into your site to embed