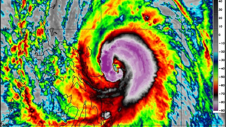
An incredible rapid intensification of typhoon #KAMMURI – now a borderline Category 4 just a few hours before making landfall near Legazpi City, Philippines!

Kammuri has intensified extremely fast in the past 12 hours, as based on the Advanced Dvorak Technique analysis, it has now near 117 knots (Dvorak … Continue reading An incredible rapid intensification of typhoon #KAMMURI – now a borderline Category 4 just a few hours before making landfall near Legazpi City, Philippines!