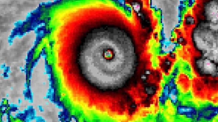
A very impressive rapid intensification currently underway with Tropical Cyclone #Ambali in the South Indian Ocean – now an intense Category 3 cyclone!

As we have discussed last night – A rare occurrence in the tropics – five (5) tropical systems are simultaneously ongoing in the West Indian … Continue reading A very impressive rapid intensification currently underway with Tropical Cyclone #Ambali in the South Indian Ocean – now an intense Category 3 cyclone!